Algo está a punto de pasar en Jamaica y tiene muy mala pinta: la era de los huracanes extremadamente lentos está aquí

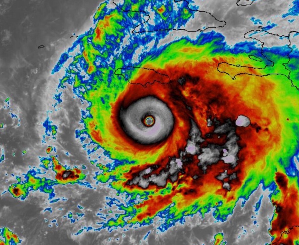
"Me quedo sin palabras ante lo escalofriantes que son estas imágenes". Con esas palabras, el meteorólogo que está detrás de Backpirch Weather describía lo que todos los expertos piensan al ver cómo Melissa alcanzaba los 233 km/h y los 941 mbar. Es decir, viendo en vivo y en directo, cómo "el huracán alcanzaba una simetría casi perfecta a 185 kilómetros al sur-suroeste de Kingston" (Jamaica) .
Sobre todo, porque (según el Centro Nacional de Huracanes) es cuestión de tiempo que alcance categoría 5 y, justo después, provoque en la isla "un daño con escasos o ningún precedente".
Una tendencia preocupante. Melissa lleva ya días en el radar de todos los que monitorizan el pasillo de huracanes. De hecho, había empezado a llamar la atención por algo curioso: se estaba moviendo tremendamente despacio. Ahora, Melissa avanza a unos siete kilómetros hora, pero durante estos días ha llegado a ir a tres.
Esto encaja con las investigaciones de los últimos años que apuntan a que la velocidad de los huracanes ha ido disminuyendo. Y esa disminución es importante porque "una tormenta de movimiento más lento generalmente implica más inundaciones y, potencialmente, más marejadas ciclónicas".
Pero Melissa quiere ser algo más que una tendencia. Porque, como explicaban dese Meteored, el huracán Melissa "ha sufrido una intensificación explosiva y podría alcanzar la categoría 5 antes de tocar tierra en Jamaica". 12 horas le han bastado. Y la cosa se va a poner más seria: "el modelo europeo anticipa lluvias de más de 500 mm en el este de Jamaica, suroeste de Haití y regiones orientales de Cuba".
Es verdad que, como señalaba Michael Lowry, "si Melissa ha demostrado algo hoy, es la dificultad de predecir las fluctuaciones de intensidad cuando los huracanes alcanzan su punto máximo"; pero, como él mismo se apresuraba a añadir, "en cualquier caso, la poderosa Melissa se mantiene firme". Es más, los vídeos que llegan son espeluznantes.
Lo que está por venir. Como explicaba Álvaro Oliver, Melissa "tiene categoría 4 y no es raro que alcance incluso la 5, con vientos superiores a 250 km/h". Pero lo peculiar será lo que decíamos, su "lentísimo desplazamiento". Eso podría disparar las lluvias y provocar una "gran devastación en los próximos tres días".
En Cuba van a desplazar a casi un millón de personas, pero los jamaicanos no tienen demasiada escapatoria. Y es eso, precisamente eso, lo que puede disparar un desastre a cámara lenta.
Los próximos días van a ser claves no solo para salvar a cientos de personas; sino también para entender por qué el Caribe se está convirtiendo en una trampa mortal.
Imagen | CIMSS (vía Alvaro Oliver)
-
La noticia Algo está a punto de pasar en Jamaica y tiene muy mala pinta: la era de los huracanes extremadamente lentos está aquí fue publicada originalmente en Xataka por Javier Jiménez .
Fuente: Xataka
Enlace: Algo está a punto de pasar en Jamaica y tiene muy mala pinta: la era de los huracanes extremadamente lentos está aquí

Comentarios
Publicar un comentario